$ 1,299,000 – 4495 Nottingham Road
0 BR / 0 BA Vacant Land – Kelowna
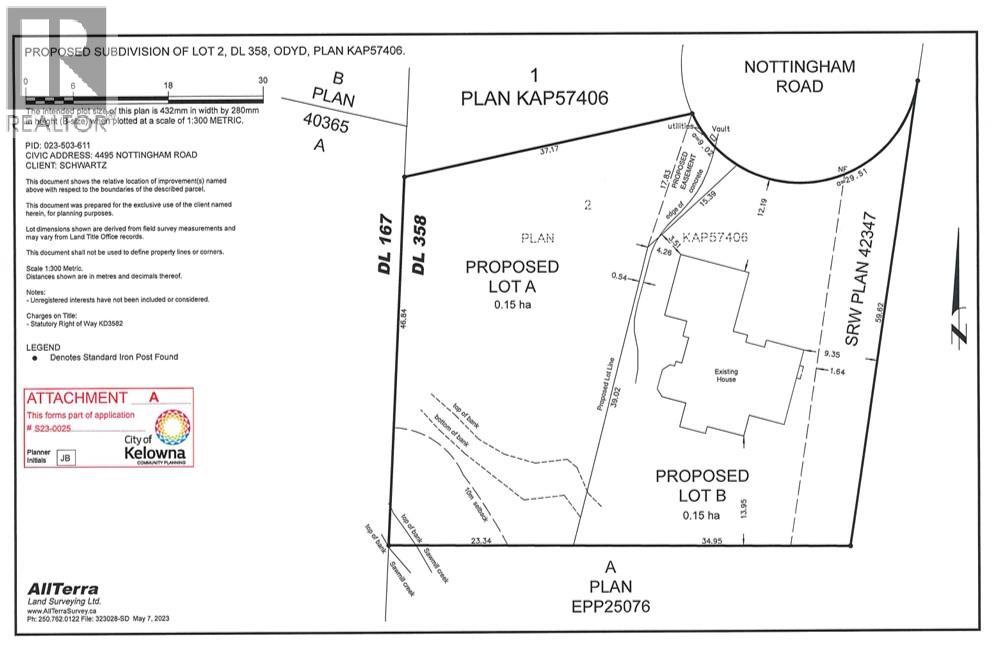
Awarded “Best Urban Forest” in Kelowna for 2025, this proposed 0.37-acre lot offers a rare opportunity to build in the heart of the Lower Mission. Set on a quiet cul-de-sac and surrounded by mature trees, this future homesite blends natural beauty with urban convenience. RU1 zoning allows for up to 4 dwelling units (with City approval), and the site may support a walkout design. Sawmill Creek borders the south boundary, adding privacy and charm. Just a short walk to Sarsons Beach, DeHart Park, H2O Centre, top-rated schools, and local shops. Subdivision is in progress and the lot is being sold subject to final registration. PLR and DCCs are based on a single-family home. Higher density may trigger additional fees and servicing costs. The current owner will finalize the subdivision and arrange servicing. This is a unique chance to build in one of Kelowna’s most established and desirable neighborhoods. (id:6769)Construction Info
Rooms Dimension
Listing Agent:
Blake Hilts
(250) 801-1948
(250) 801-1948
Brokerage:
Royal LePage Kelowna
(250) 768-2161
(250) 768-2161



