$ 1,199,998 – 3386 Woodsdale Road
0 BR / 0 BA Vacant Land – Lake Country
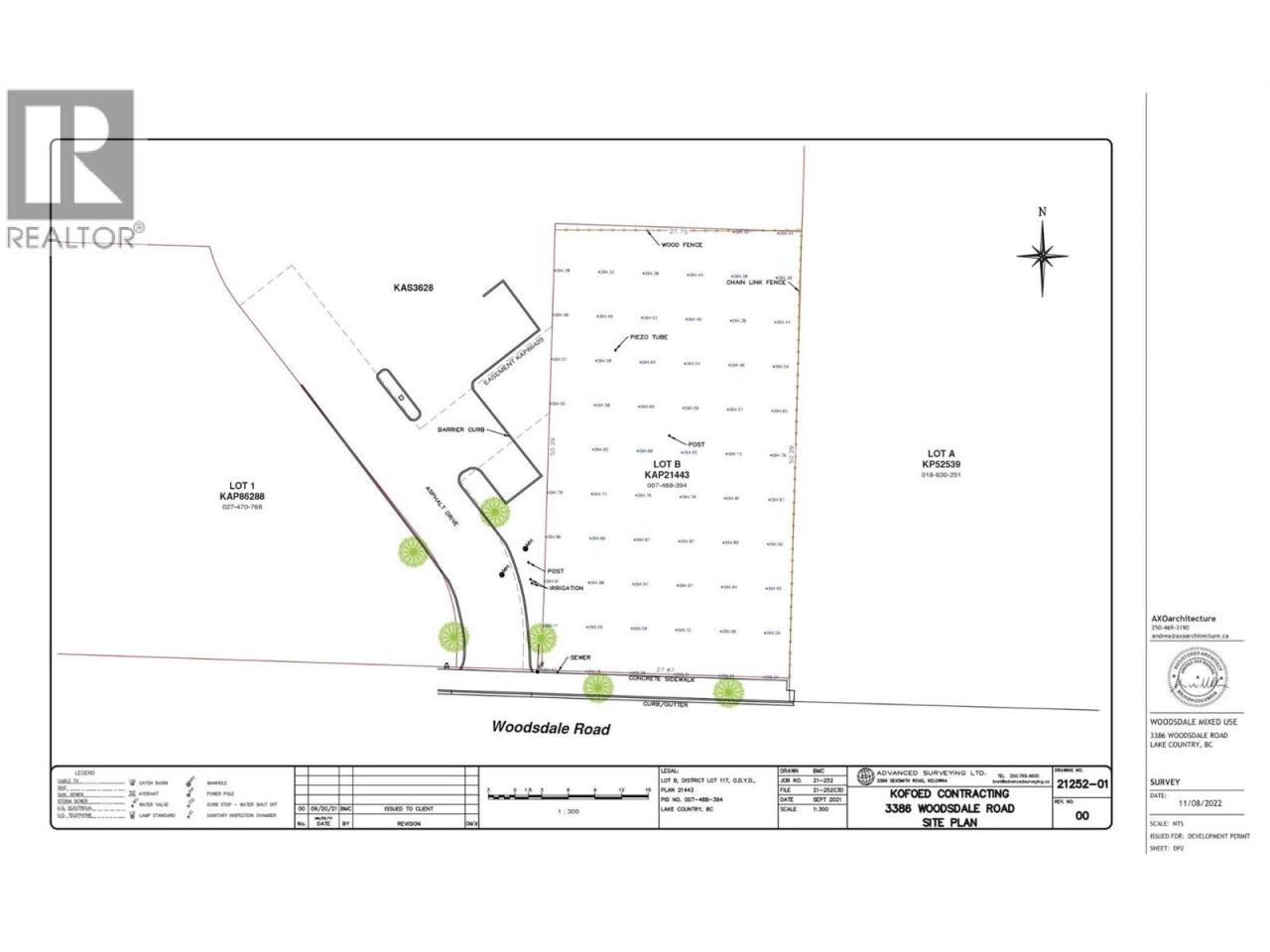
EXCEPTIONAL DEVELOPMENT OPPORTUNITY! This prime C1-zoned property in the heart of the Woodsdale neighbourhood comes with an approved Development Permit for a modern three-storey, mixed-use building - zoning permits short-term rentals. Featuring two commercial units on the ground floor and 18 one-bedroom-plus-den residential units with balconies, this project is designed for contemporary living and vibrant community engagement. With a rooftop patio, covered parking, and a thoughtfully crafted landscape plan, this site is ready for development in a thriving, fully serviced semi-lakeshore area near Wood Lake, Highway 97, and the Town Centre. Ideal for investors or developers looking to capitalize on Lake Country’s growing mixed-use commercial landscape! Buyers to do their own due diligence. (id:6769)Construction Info
Rooms Dimension
Listing Agent:
Steven Nicholson
(250) 212-2010
(250) 212-2010
Brokerage:
Macdonald Realty
(250) 860-4300
(250) 860-4300



